
몬스테라
공기뿌리가 뽁 하고 확실하게 모습을 드러냈다.


새잎 안 내고 뭐하나 했더니 뿌리들이 정말 열일하는 중이었다. 물 주다가 발견하고 깜짝 놀랬네. ㅋㅋㅋㅋㅋ 얘네 뭐하니 ㅋㅋㅋㅋㅋ 흙속에 있던 애들이 왜 하늘을 향하고 있어??!! 길 잃은 거 같아서 둘 다 흙 속으로 갈 수 있게 잘 넣어 주었다. 그런데 방향 틀다가 한 뿌리 1cm 정도 뿌러뜨려서 속상했다. ㅠㅠ 다시 잘 자라주겠지?ㅠㅠㅠ
쑥쑥 자라야 얘가 델리시오사인지 보르시지아나인지 구별할 수 있을 것 같은데.

몬스테라 아단소니
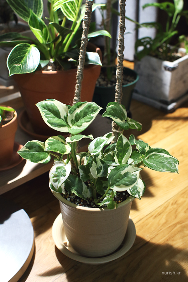
토르의 새잎은 데칼코마니

새잎 내랴 공기뿌리 내랴 바쁜 헬라

지지대 타고 올라가 더 커지라고 마끈봉을 세워 주었다. 분갈이 할 때가 되면 공기뿌리가 잘 착생할 수 있도록 수태봉으로 바꾸어 줘야지.

이번에 새로 난 잎 -_-b 아단소니 특유의 저 질감이 참 독특하고 예쁘다.

그림자가 예뻐서 또 찰칵

올리브 나무
크기가 점점 큰 잎이 새로 나는 거 너무 신기하다.

에피프레넘 아우리움 엔조이(스킨답서스 엔조이)
아래로 기지 말고 위로 타고 올라 가라고 마끈봉을 세워 주었다. 잎 크기도 훨훨 커져라!

에피프레넘 아우리움 엔조이(스킨답서스 엔조이)
새잎 잘 자라고 있는 지구2-카나리.
저 뒤에 있는 지구2-랜터니는 아직 잎은 별 변화가 없는데, 황토볼 씻으려고 한번 꺼내니 다행히도 뿌리가 열심히 자라는 중이었다.

라피도포라 테트라스퍼마(동글이 히메몬스테라)
뿌리 자리 여러 개 터졌다. ㅠㅠㅠ감동ㅠㅠㅠ

수박 페페로미아
색도 진해지고 잎도 점점 두꺼워지는 중인 새잎



싱고니움 스노우화이트
마끈봉 지지대를 세워 주었다. 저 제일 토끼처럼 생긴 잎 ㅋㅋ 비행 중인 것 같다. ㅋㅋㅋ졸귀탱

고수
햇빛이 잘 들지 않은 베란다에 놔뒀더니 웃자라고 뿌리는 물고ㅠㅠ 급하게 식물등 vip석으로 자리를 옮겼다.

제발 튼튼해져라 고수야ㅠㅠ 고수 때문에 밑으로 내려온 아이들 ㅋㅋㅋ 미안해ㅠㅠㅠ

고추 나무
희망이 별로 없는 줄 알았는데 고추 뙇!!!!! 신기할세. 그런데 관찰하다 보니 잎이 총체인지 뭔지 때문에 상태가 안 좋아 보여서 이상한 애들 다 뜯어 버렸다. 제발 벌레 끼지 말고 건강하렴ㅠㅠ


에피프레넘 아우리움 네온(형광 스킨답서스)
조금 전에 대형 사고 쳤다. ㅠㅠㅠㅠㅠ 물 주느라 베란다에 내놨던 헐크(몬스테라) 화분 안으로 들이다가 너무 무거워서 잠깐 비틀거린 사이에 랜터니 화분을 덮친 것 ㅠㅠㅠㅠㅠㅠㅠ 이파리 줄기 세 개 꺾이고ㅠㅠ 몇 개는 상처남ㅠㅠㅠㅠㅠ 잘 아물 수 있겠지?ㅠㅠㅠ랜터니ㅠㅠㅠㅠㅠ 내 종아리도 긁히고 피 나고 멍 들고ㅠㅠㅠㅠㅠ 아무래도 바퀴 달린 화분받침을 하나 사든가 해야겠다..힝ㅠㅠㅠㅠㅠ
'# > 식물' 카테고리의 다른 글
| 공기뿌리 파티 (0) | 2021.07.14 |
|---|---|
| 몬스테라 아단소니(로키) 새잎 관찰기|210621-210712 (0) | 2021.07.12 |
| 몬스테라 아단소니(헬라) 새잎 관찰기|210702-210711 (0) | 2021.07.11 |
| 새 식구: 싱고니움 (0) | 2021.07.10 |
| 새 식구: 에피프레넘 아우리움 스노우퀸 (0) | 2021.07.08 |